Jean Lauffray ne signale pas la présence de la coudée royale, la meh nessou égyptienne, ni les autres coudées, la petite, la remen et la sacrée.
Rappelons qu'il y a quatre coudées en Egypte, la meh nessou, la meh chery, la meh remen et la meh djeser, soient la royale, la petite, la remen( la seule nommée en égyptien par les Egyptologues, et je me demande encore pourquoi !) et la sacrée....
Personne ne s'y intéresse, personne ne les utilise...
Nous avons aussi longuement argumenté sur ce forum chaque fois que nous avons abordé une chapelle Egyptienne avec une analyse comparée et que le choix de la mesure employée ne se retrouve par nécessairement sur ce qui est directement visible..
Prenons l'exemple d'un carré simple !
Soit des meh nessou, ou meh chery, lremen, djeser sur le côté de ce carré est en effet un choix possible par le scribe des formes et des contours.
Mais tout autant peut être cachée dans la diagonale de ce carré ou dans le cercle de même surface ou périmétrique, et l'on peut avancer sans se tromper, car expérience oblige, que voir apparaitre directement l'étalon est le cas de figure le moins courant.
Considérer que la mesure Egyptienne doit obligatoirement être sur toutes les mesures principales d'une architecture est une erreur grave.
Erreur qui tend à nous faire croire que les Egyptiens ne sont pas précis dans le tracé, au point que certains affirment que la coudée royale varie alors entre 52 et 53 centimètres...Comme un yoyo...
D'autant que d'autres vont jusqu'à la faire varier entre 51 et 54 centimètres
Forcément à chercher tout le temps des valeurs uniquement rationnelles de longueur, décomposables en autant de coudées royales, de ses moitié et tiers, pour que cela rentre dans les clous, au point de modifier carrément la valeur initiale de la coudée, pour que cela corresponde à une simple arithmétique...
Nous montrerons les émergences dans cette Chapelle Achoris de la meh nessou
(Cliquer sur l'mage)
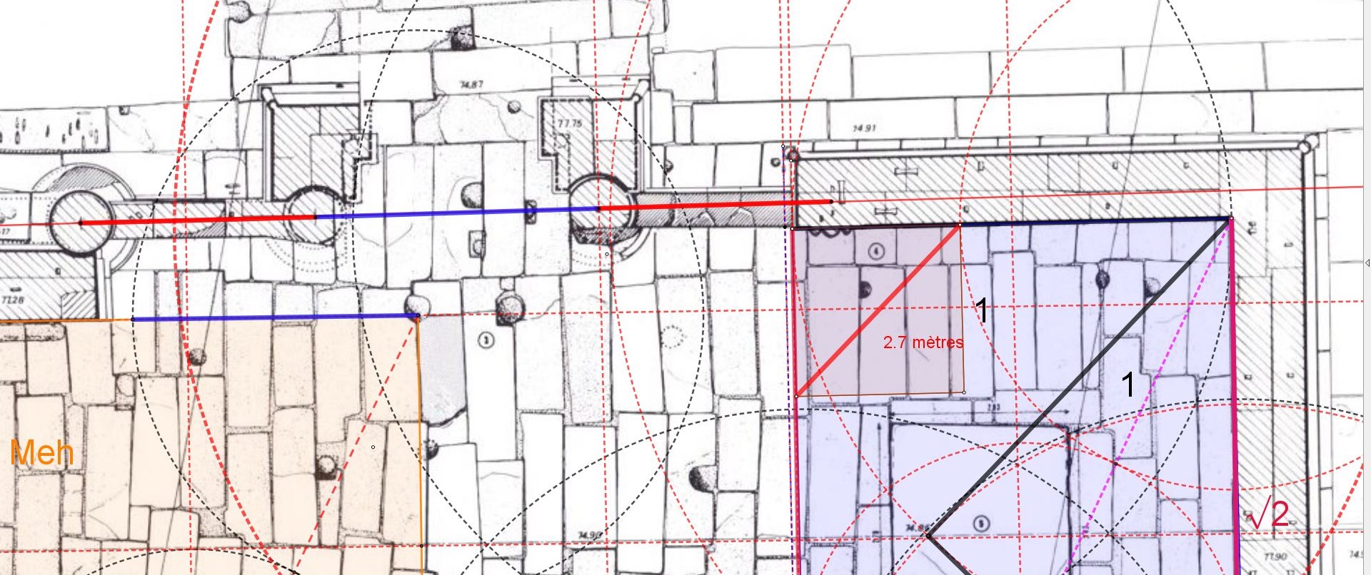
G1E2 la diagonale ici du carré bleu, c'est 4.44 mètres, qui est aussi la longueur de la petite chapelle de Sésostris premier...
Observons G1G2, le côté de ce carré bleu, c'est 3.14 mètres soit 6 meh nessou...Et c'est ausssi la largeur de la petite chapelle de Sésostris premier...
Pourquoi Jean Lauffray utilise uniquement la partie des colonnes du pronaos et le naos en écartant l'ouverture Ouest et ses murs, comme si elle n'entrait pas dans la danse...Et sans tenir compte de l'intérieur des murs du naos que les deux pilastres mettent en lumière.....
Et il prend aussi une valeur de la coudée de 0.54 mètre, devenue alors module arithmétique répétitif.
Ce qui semble fonctionner pour l'écartement entre colonne, et qui laisse, selon son analyse, des approximations de 2% et ne tient compte ni de l'entrée Ouest extérieur et intérieur, ni de l'intérieur du mur du Naos Est, reste une hypothèse et il y en a bien d'autres.
Pourtant en utilisant les mesures de surface Egyptiennes, un plan étant en premier une surface organisée, la chapelle nait du ventre du carré Heseb....
(Cliquer sur l'mage)
On peut voir ici le carré Heseb et le carré Sa...
( cliquer sur l'image )
*
Par ce simple jeu de tracer, vieux comme le monde, la longueur exacte de la chapelle se place à la droite de notre petit carré ici né du tracé.
Mais nous avons oublié...
( cliquer sur l'image )
De plus près, pour mieux voir la longueur de la chapelle au sein du carré Heseb...,
Mais attention, ce n'est pas la coupe qui hachure les murs et colonnes ici qui détermine le plan au sol car elle a été faite après la deuxième rangée de pierre en élévation, suffit d'observer les boudins aux arêtes pour s'en rendre compte.
Le côté du carré Heseb 26.18 mètres, soit 50 meh nessou, reste pour la chapelle 16.18 mètres...
Valeur donnée par Jean Lauffray 16.20 mètres !
Comme c'est étrange...